조황관리HOME / 조황관리 / 상세정보

제목 : 11/16일 . 군산최강피싱 <어청도호> 먼바다 생미끼 마무리조황
등록일 : 2025-11-16



11/16일 . 군산최강피싱 <어청도호> 먼바다 생미끼
마무리조황

군산 어청도피싱
안녕하세요 !(•̀ᴗ•́)و ̑̑
낚시에 진심인 김선장입니다.
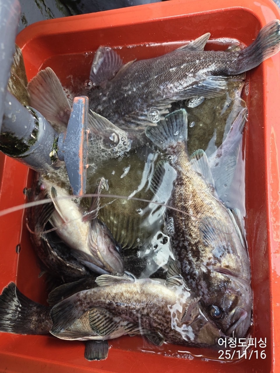
#11월16일 #일요일 #우럭 #광어

오늘은 맑은 하늘에 물때까지 좋아서
포인트마다 입질이 잘 와주네요

우럭, 광어 마릿수는 훌륭하게 나왔는데,

아쉬웠던 부분이라면
사이즈가 살짝 욕심에 못 미쳤다는 점이였어요.
그래도 열심히 낚아주신 덕분에
쿨러에 차곡차곡 예쁘게 담겼답니다 !

계속해서 바다 상황이 좋아지는 만큼
다음엔 더 굵은 녀석들로 찾아뵐게요!

오늘도 함께해주신 조사님들
고생 많으셨습니다
안전귀가 하시고
좋은 날 또 봬요

☆ 어청도호 출조 일정

11월17일 월요일 생미끼 출조 : 기상악화
11월18일 화요일 생미끼 출조 : 기상악화
11월19일 수요일 생미끼 출조 : 13자리
11월20일 목요일 생미끼 출조 : 17자리
11월21일 금요일 생미끼 출조 : 마감
11월22일 토요일 생미끼 출조 : 마감
11월23일 일요일 생미끼 출조 : 마감

☆ 강남호 출조

11월17일 월/문어낚시 출조 : 기상악화
11월18일 화/문어낚시 출조 : 10자리여유
11월19일 수/문어낚시 출조 : 12자리여유
11월20일 목/문어낚시 출조 : 13자리여유
11월21일 금/문어낚시 출조 : 14자리여유
11월22일 토/문어낚시 출조 : 6자리여유
11월23일 일/문어낚시 출조 : 마감

☆ 시그니처호 출조 일정
갑오징어 출조 합니다
(여유 자리여유)
평일 8명이상시 정상출조

11월18일 화/갑오징어낚시 출조 : 여유
11월19일 수/갑오징어낚시 출조 : 여유
11월20일 목/갑오징어낚시 출조 : 여유
11월21일 금/갑오징어낚시 출조 : 여유


  • 사용자가 올린 이미지
  • 사용자가 올린 이미지
  • 사용자가 올린 이미지
  • 사용자가 올린 이미지
  • 사용자가 올린 이미지
  • 사용자가 올린 이미지
  • 사용자가 올린 이미지
  • 사용자가 올린 이미지
  • 사용자가 올린 이미지
  • 사용자가 올린 이미지
  • 사용자가 올린 이미지
  • 사용자가 올린 이미지
  • 사용자가 올린 이미지
  • 사용자가 올린 이미지
  • 사용자가 올린 이미지
  • 사용자가 올린 이미지
  • 사용자가 올린 이미지
  • 사용자가 올린 이미지
  • 사용자가 올린 이미지
  • 사용자가 올린 이미지
  • 사용자가 올린 이미지
  • 사용자가 올린 이미지
  • 사용자가 올린 이미지
  • 사용자가 올린 이미지
  • 사용자가 올린 이미지
  • 사용자가 올린 이미지
  • 사용자가 올린 이미지
Top