조황관리HOME / 조황관리 / 상세정보

제목 : 11/22일/토 군산최강피싱 <#어청도호>먼바다 생미끼 마무리조황
등록일 : 2025-11-22



11/22일/토 군산최강피싱 <#어청도호>먼바다 생미끼 마무리조황

군산 어청도피싱 ????
안녕하세요 !(•̀ᴗ•́)و ̑̑
낚시에 진심인 김선장입니다.
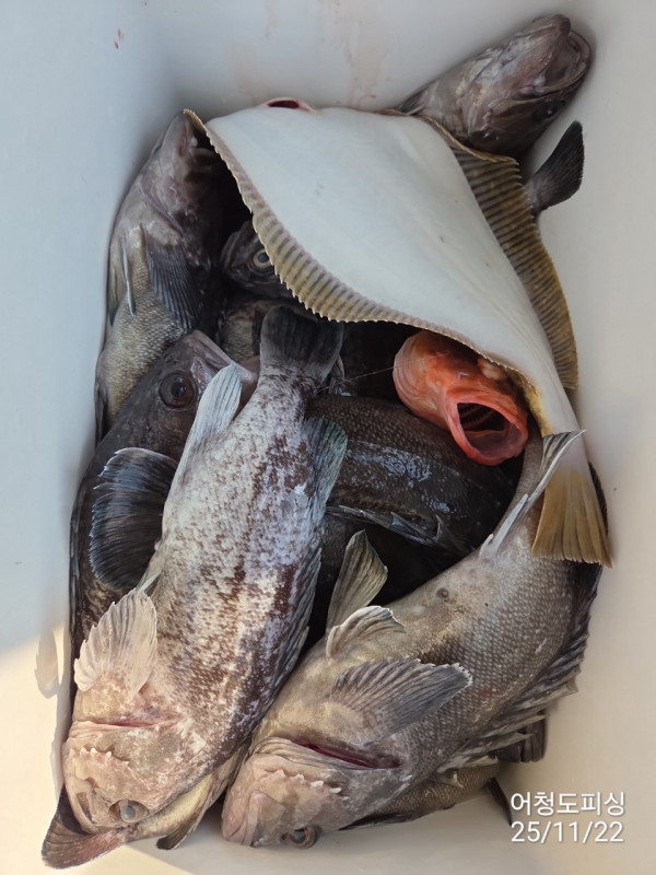
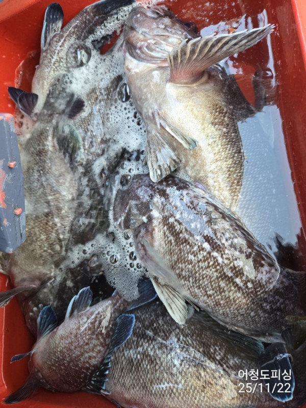
#11월22일 #토요일 #우럭만쿨

새벽 일찍 먼바다로 나가
우럭 위주로 공략한 하루였습니다 !

포인트마다 반응이 좋아
3~4짜 우럭들이 묵직하게 올라와주었고,
쿨러가 큰데도 가득 가득 찰 만큼
넉넉하게 담아 만쿨로 돌아왔습니다

힘 좋은 우럭들과 함께한
기분 좋은 만쿨의 출조였어요

즐거웠던 오늘 출조 사진도 확인 해주시구요!

함께해주신 조사님들 모두 고생 많으셨습니다
댁까지 안전히 가시고 다음 낚시때 봬요


☆ 어청도호 출조 일정

11월23일 일요일 생미끼 출조 : 마감
11월24일 월요일 생미끼 출조 : 마감
11월25일 화요일 생미끼 출조 : 마감
11월26일 수요일 생미끼 출조 : 자리여유
11월27일 목요일 생미끼 출조 : 자리여유
11월28일 금요일 생미끼 출조 : 13자리
11월29일 토요일 생미끼 출조 : 마감
11월30일 일요일 생미끼 출조 : 마감

☆ 강남호 출조

11월23일 일/문어낚시대회 : 마감
11월24일 월/문어낚시 출조 : 10자리여유
11월25일 화/문어낚시 출조 : 13자리여유
11월26일 수/문어낚시 출조 : 14자리여유
11월27일 목/문어낚시 출조 : 12자리여유
11월28일 금/문어낚시 출조 : 6자리여유
11월29일 토/문어낚시 출조 : 마감
11월30일 일/문어낚시 출조 : 마감

☆ 시그니처호 출조 일정
갑오징어 출조 합니다
(여유 자리여유)
평일 8명이상시 정상출조
11월24일 월/갑오징어낚시 출조 : 여유
11월25일 화/갑오징어낚시 출조 : 여유
11월26일 수/갑오징어낚시 출조 : 여유
11월27일 목/갑오징어낚시 출조 : 자리여유
11월28일 금/갑오징어낚시 출조 : 자리여유
최강피싱 063.463-tile.jpg

최강피싱 063.463.0800_사진_20251122_32.jpg


최강피싱 063.463.0800_사진_20251122_33 - 복사본.jpg


최강피싱 063.463.0800_사진_20251122_34.jpg


최강피싱 063.463.0800_사진_20251122_35.jpg


최강피싱 063.463.0800_사진_20251122_36.jpg


최강피싱 063.463.0800_사진_20251122_37.jpg


최강피싱 063.463.0800_사진_20251122_38.jpg


최강피싱 063.463.0800_사진_20251122_39 - 복사본.jpg


최강피싱 063.463.0800_사진_20251122_40 - 복사본.jpg


최강피싱 063.463.0800_사진_20251122_25 - 복사본.jpg


최강피싱 063.463.0800_사진_20251122_26 - 복사본.jpg


최강피싱 063.463.0800_사진_20251122_27 - 복사본.jpg


최강피싱 063.463.0800_사진_20251122_28 - 복사본.jpg


최강피싱 063.463.0800_사진_20251122_29 - 복사본.jpg


최강피싱 063.463.0800_사진_20251122_30 - 복사본.jpg


최강피싱 063.463.0800_사진_20251122_31 - 복사본.jpg

최강피싱 063.463.0800_사진_20251122_46.jpg


최강피싱 063.463.0800_사진_20251122_47.jpg


최강피싱 063.463.0800_사진_20251122_48.jpg


최강피싱 063.463.0800_사진_20251122_49.jpg


최강피싱 063.463.0800_사진_20251122_50 - 복사본.jpg


최강피싱 063.463.0800_사진_20251122_50.jpg


최강피싱 063.463.0800_사진_20251122_51.jpg


최강피싱 063.463.0800_사진_20251122_52.jpg


최강피싱 063.463.0800_사진_20251122_53.jpg


최강피싱 063.463.0800_사진_20251122_54 - 복사본.jpg


최강피싱 063.463.0800_사진_20251122_55.jpg


최강피싱 063.463.0800_사진_20251122_41 - 복사본.jpg


최강피싱 063.463.0800_사진_20251122_42.jpg


최강피싱 063.463.0800_사진_20251122_43 - 복사본.jpg


최강피싱 063.463.0800_사진_20251122_44 - 복사본.jpg


최강피싱 063.463.0800_사진_20251122_45 - 복사본.jpg

12/13일 전국 우럭낚시 대화 시그니처호 에약가능 합니다
j_hh7Ud018svc82xqb9wrahy0_cclrtc.png


 



==== 군산 최강피싱 선단 예약안내 ====


예약문의 : 063-463-0800

오시는길 : 전북 군산시 새만금북로 211

홈페이지 : http://strong.sunsang24.com/


모바일.jpg 



Top