조황관리HOME / 조황관리 / 상세정보

제목 : 11/30일 . 군산최강피싱 <어청도호> 먼바다 생미끼 마무리조황
등록일 : 2025-11-30



11/30일 . 군산최강피싱 <어청도호> 먼바다 생미끼
마무리조황

군산 어청도피싱 ????
안녕하세요 !(•̀ᴗ•́)و ̑̑
낚시에 진심인 김선장입니다.
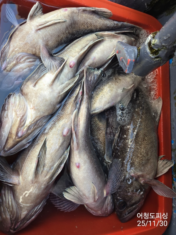
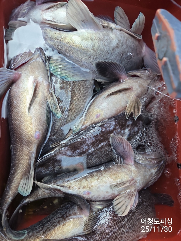
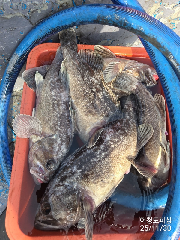
#11월30일 #일요일 #우럭조황 ????

오늘 오전엔 파도가 살짝 있어서
쉽지만은 않았지만
그래도 조사님들 손끝에서 쏠레쏠레 우럭이 꾸준히 올라와줬습니다

쿨러가 제법 큰 편이었는데도
한 마리, 두 마리 차곡차곡 ~
드실 만큼 채워졌어요
집중해서 끝까지 해주신 조사님들
덕분에 사진 남길 수 있었습니다

물 때 좋고, 날도 좋은 날
미리 예약 주시면 더 알찬 손맛을 볼 수 있으니
예약 주세요 ! ㅎ ㅎ

함께하신 조사님들 모두 수고 많으셨습니다
다음에도 건강하게 뵙고,
또 함께 즐겁게 낚시해요


☆ 어청도호 출조 일정

12월01일 월요일 우럭,광어출조 : 기상악화
12월02일 화요일 우럭,광어출조 : 마감
12월03일 수요일 우럭,광어출조 : 마감
12월04일 목요일 우럭,광어출조 : 12자리
12월05일 금요일 우럭,광어출조 : 여유
12월06일 토요일 우럭,광어출조 : 마감
12월07일 일요일 우럭,광어출조 :14자리
12월08일 월요일 우럭,광어출조 : 17자리

☆ 강남호
12월01일 월/문어낚시 출조 : 기상악화
12월02일 화/문어낚시 출조 : 자리여유
12월03일 수/문어낚시 출조 : 자리여유
12월04일 목/문어낚시 출조 : 16자리여유
12월05일 금/문어낚시 출조 : 16자리여유
12월06일 토/문어낚시 출조 : 13자리여유
12월07일 일/문어낚시 출조 :14자리여유

☆ 시그니처호 출조 일정
우럭,광어 출조 합니다
(여유 자리여유)
평일 8명이상시 정상출조

12월2일 화/우럭,광어낚시 출조 : 여유
12월3일 수/우럭,광어낚시 출조 : 여유
12월4일 목/우럭,광어낚시 출조 : 여유
12월5일 금/우럭,광어낚시 출조 : 여유
12월6일 토/우럭,광어낚시 출조 : 여유
12월7일 일/우럭,광어낚시 출조 : 여유

전화문의: 063-463-0800
010-7168-0800
홈페이지 : http://strong.sunsang24.com

최강피싱 063.463.0800_사진_20251130_1.jpg


최강피싱 063.463.0800_사진_20251130_2 - 복사본.jpg


최강피싱 063.463.0800_사진_20251130_3 - 복사본.jpg


최강피싱 063.463.0800_사진_20251130_4 - 복사본.jpg


최강피싱 063.463.0800_사진_20251130_5.jpg


최강피싱 063.463.0800_사진_20251130_6.jpg


최강피싱 063.463.0800_사진_20251130_7 - 복사본.jpg


최강피싱 063.463.0800_사진_20251130_8.jpg


최강피싱 063.463.0800_사진_20251130_9.jpg


최강피싱 063.463.0800_사진_20251130_10.jpg


최강피싱 063.463.0800_사진_20251130_12.jpg

최강피싱 063.463-tile.jpg



최강피싱 063.463.0800_사진_20251130_17.jpg


최강피싱 063.463.0800_사진_20251130_18.jpg


최강피싱 063.463.0800_사진_20251130_19.jpg


최강피싱 063.463.0800_사진_20251130_20.jpg


최강피싱 063.463.0800_사진_20251130_21.jpg


최강피싱 063.463.0800_사진_20251130_22.jpg


최강피싱 063.463.0800_사진_20251130_23.jpg


최강피싱 063.463.0800_사진_20251130_24.jpg


최강피싱 063.463.0800_사진_20251130_25.jpg


최강피싱 063.463.0800_사진_20251130_26.jpg


최강피싱 063.463.0800_사진_20251130_27.jpg


최강피싱 063.463.0800_사진_20251130_28.jpg


최강피싱 063.463.0800_사진_20251130_29.jpg


최강피싱 063.463.0800_사진_20251130_30.jpg


최강피싱 063.463.0800_사진_20251130_31.jpg


최강피싱 063.463.0800_사진_20251130_32.jpg


최강피싱 063.463.0800_사진_20251130_33.jpg


최강피싱 063.463.0800_사진_20251130_34.jpg


최강피싱 063.463.0800_사진_20251130_35.jpg


 
Top