조황관리HOME / 조황관리 / 상세정보

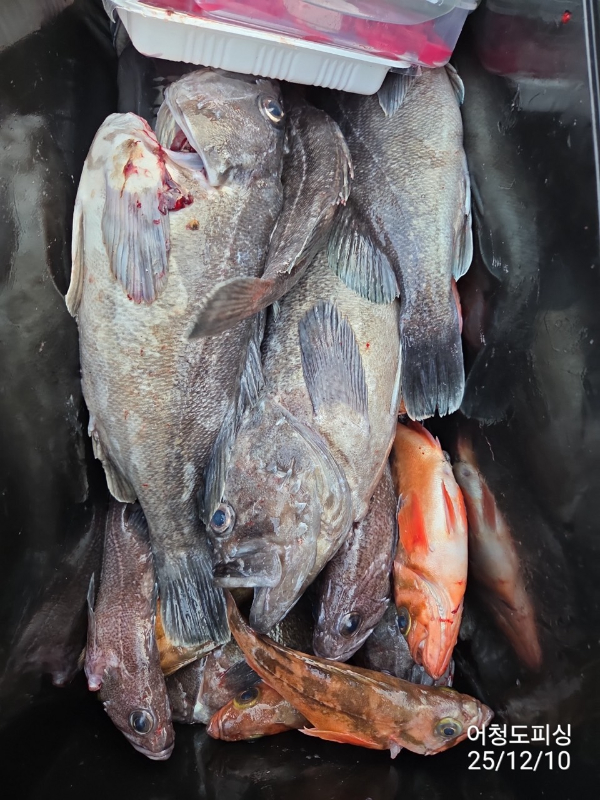
제목 : 12/10일 . 군산최강피싱 <어청도호> 먼바다 우럭,광어 마무리조황
등록일 : 2025-12-11



12/10일 . 군산최강피싱 <어청도호> 먼바다 우럭,광어 마무리조황

군산 어청도피싱 ????
안녕하세요 !(•̀ᴗ•́)و ̑̑
낚시에 진심인 김선장입니다.
#12월10일 #수요일 #우럭광어 ????

오늘은 아침 첫 포인트에서
고기 반응이 조금 약해서
과감하게 두 번째 포인트로 장시간 이동!

멀리 돌았던 만큼
도착 후엔 조사님들 모두 집중해주시고
열심히 해주신 덕분에
많이는 아니어도 드실 만큼 잡으시고,
사진까지 예쁘게 남길 수 있었습니다

긴 이동에, 파도에, 장시간 낚시에
오늘 정말 고생 많으셨습니다 ????

다음엔 더 좋은 날 잡아서
시원하게 만쿨 한 번 해봐요 우리 !????????

어청도피싱 조사님들
늘 건강하시고 또 뵐 날 기다리겠습니다
댁까지 안전귀가하세요 ????



☆ 어청도호 출조 일정

12월12일 금요일 우럭,광어출조 : 마감
12월13일 토요일 우럭,광어출조 : 마감
12월14일 일요일 우럭,광어출조 : 마감
12월15일 월요일 우럭,광어출조 :17자리
12월16일 화요일 우럭,광어출조 : 마감
12월17일.수요일 우럭 광어출조 : 14명
12월18일 목요일 우럭,광어출조 : 17자리
12월19일 금요일 우럭,광어출조 : 18자리
12월20일 토요일 우럭,광어출조 : 13자리


전화문의: 063-463-0800
010-7168-0800


최강피싱 063.463-tile.jpg

==== 군산 최강피싱 선단 예약안내 ====


예약문의 : 063-463-0800

오시는길 : 전북 군산시 새만금북로 211

홈페이지 : http://strong.sunsang24.com/


모바일.jpg 



Top