조황관리HOME / 조황관리 / 상세정보

제목 : 12/13일 군산최강피싱 <#어청도호> 우럭&광어 마무리조황
등록일 : 2025-12-13



군산최강피싱
12/13일 군산최강피싱 <#어청도호> 우럭&광어 마무리조황

군산 어청도피싱
안녕하세요 !(•̀ᴗ•́)و ̑̑
낚시에 진심인 김선장입니다.
#12월13일 #토요일 #우럭광어

오늘은 19명 조사님 모시고
먼바다 출조 다녀왔습니다

오후부터 날이 안 좋아진다는 예보가 있어서
아침부터 포인트 도착하자마자
집중 공략 들어갔습니다

그 결과
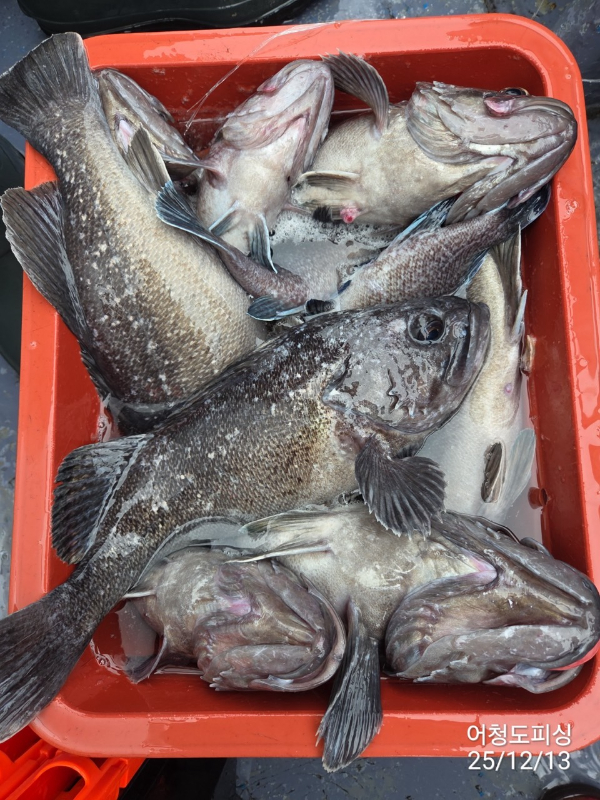
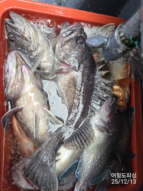
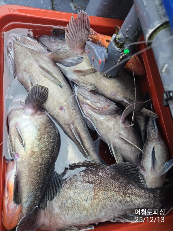
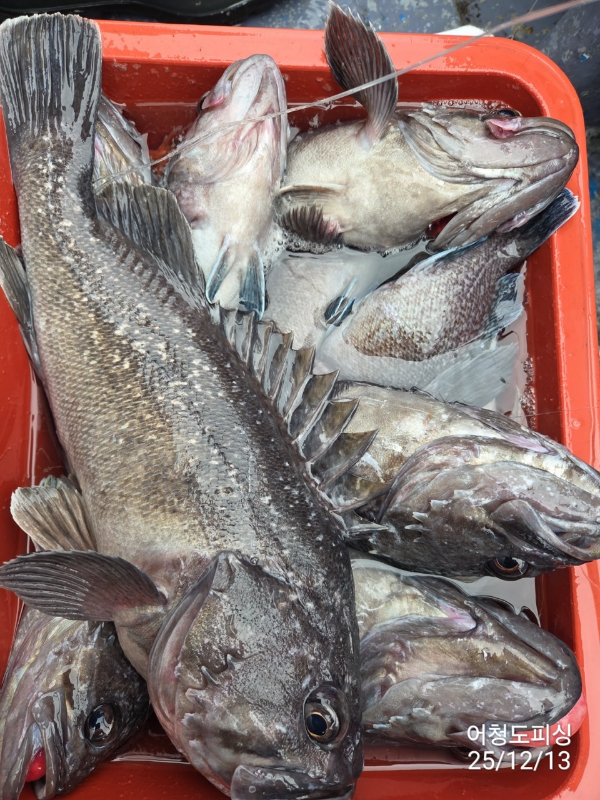
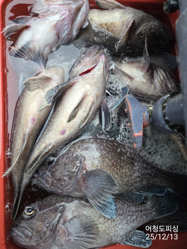
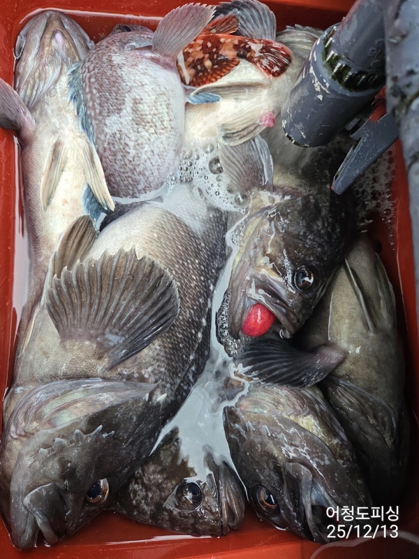
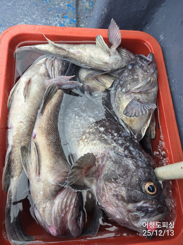
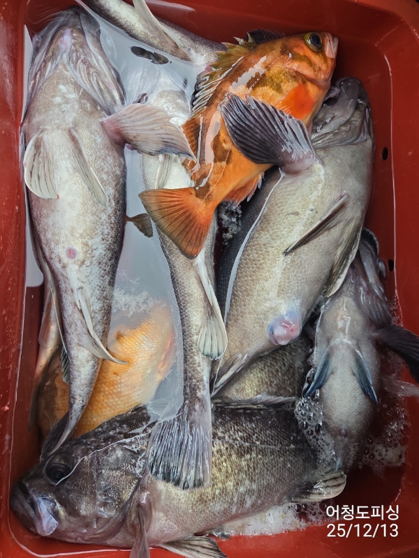
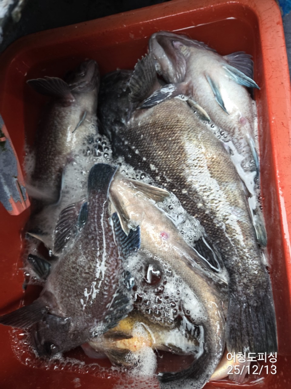
우럭 5짜 다수 출현,
사이즈 좋은 우럭들이 잘 나와주고
광어도 보너스로 7수 챙겼습니다

비 오는 궂은 날씨에도
끝까지 집중해서 열심히 낚아주신
조사님들 덕분에 알찬 하루 만들 수 있었습니다

오늘 함께해주신 조사님들
정말 고생 많으셨고, 진심으로 감사드립니다

어청도피싱 조사님들
항상 건강 챙기시고,
다음엔 더 좋은 날에 웃으면서 다시 뵙겠습니다

12월14일 일요일 우럭,광어출조 : 기상악화
12월15일 월요일 우럭,광어출조 : 기상악화
12월16일 화요일 우럭,광어출조 : 마감
12월17일.수요일 우럭 광어출조 : 7자리
12월18일 목요일 우럭,광어출조 : 18자리
12월19일 금요일 우럭,광어출조 : 6자리
12월20일 토요일 우럭,광어출조 : 2자리
12월21일 일요일 우럭,광어출조 : 8자리
최강피싱 063.463.0800_사진_20251213_2.jpg


최강피싱 063.463.0800_사진_20251213_3.jpg

최강피싱 063.463.0800_사진_20251213_4.jpg


최강피싱 063.463.0800_사진_20251213_5.jpg

최강피싱 063.463.0800_사진_20251213_6.jpg

최강피싱 063.463.0800_사진_20251213_7.jpg

최강피싱 063.463.0800_사진_20251213_8.jpg

최강피싱 063.463.0800_사진_20251213_9.jpg

최강피싱 063.463-tile.jpg

최강피싱 063.463.0800_사진_20251213_15.jpg

최강피싱 063.463-tile.jpg

최강피싱 063.463.0800_사진_20251213_44.jpg


최강피싱 063.463.0800_사진_20251213_42.jpg


최강피싱 063.463.0800_사진_20251213_43.jpg


최강피싱 063.463.0800_사진_20251213_53.jpg


최강피싱 063.463.0800_사진_20251213_32.jpg


최강피싱 063.463.0800_사진_20251213_31.jpg


최강피싱 063.463.0800_사진_20251213_34.jpg


최강피싱 063.463.0800_사진_20251213_35.jpg


최강피싱 063.463.0800_사진_20251213_36.jpg


최강피싱 063.463.0800_사진_20251213_40.jpg


최강피싱 063.463.0800_사진_20251213_39.jpg


최강피싱 063.463.0800_사진_20251213_37.jpg


최강피싱 063.463.0800_사진_20251213_55.jpg


최강피싱 063.463.0800_사진_20251213_56.jpg


최강피싱 063.463.0800_사진_20251213_54.jpg


최강피싱 063.463.0800_사진_20251213_45.jpg


최강피싱 063.463.0800_사진_20251213_46.jpg


최강피싱 063.463.0800_사진_20251213_47.jpg


최강피싱 063.463.0800_사진_20251213_38.jpg


최강피싱 063.463.0800_사진_20251213_48.jpg


최강피싱 063.463.0800_사진_20251213_33.jpg


최강피싱 063.463.0800_사진_20251213_49.jpg


최강피싱 063.463.0800_사진_20251213_50.jpg


최강피싱 063.463.0800_사진_20251213_51.jpg


최강피싱 063.463.0800_사진_20251213_52.jpg
#우럭낚시 #생미끼낚시 #광어낚시
#선상낚시 #군산선상낚시 #군산
#군산쭈구미 #군산문어 #군산최강피싱
#조업현황 #광어선상낚시 #우럭선상낚시
#조업 #취미 #바다낚시 #일상 #군산낚시

전화문의: 063-463-0800
010-7168-0800
홈페이지 : http://strong.sunsang24.com/
 



==== 군산 최강피싱 선단 예약안내 ====


예약문의 : 063-463-0800

오시는길 : 전북 군산시 새만금북로 211

홈페이지 : http://strong.sunsang24.com/


모바일.jpg 



Top