조황관리HOME / 조황관리 / 상세정보

제목 : 12/18일 군산최강피싱 <#어청도호> 우럭&광어 마무리조황
등록일 : 2025-12-19



12/18일 군산최강피싱 <#어청도호> 우럭&광어 마무리조황
군산 어청도피싱 ????
안녕하세요 !(•̀ᴗ•́)و ̑̑
낚시에 진심인 김선장입니다.
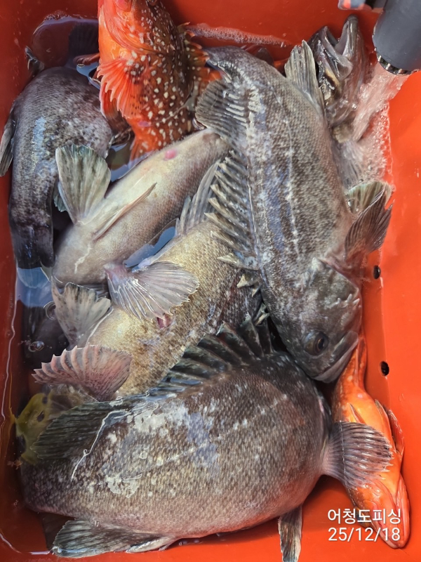
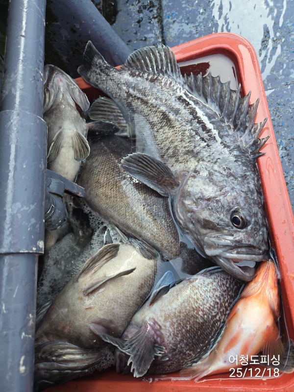
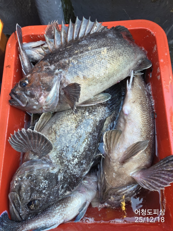
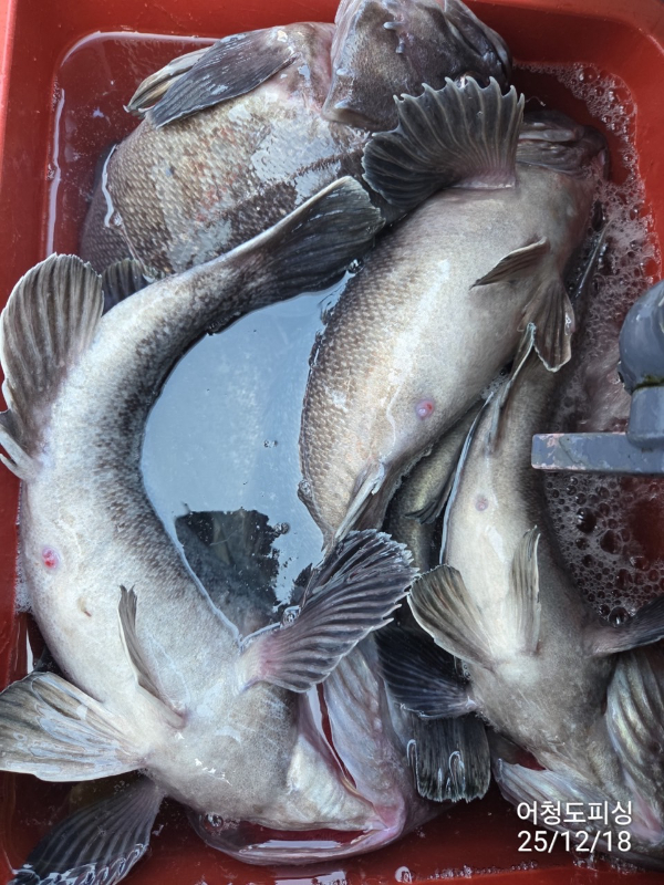
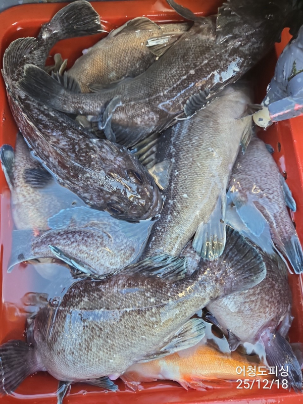
#12월18일 #목요일 #우럭광어

먼바다로 신나게 출조 다녀왔습니다

우럭은 5짜급으로 시원시원하게 나와주고
4짜급도 다수 붙어주면서
따복 따복 입질 이어 갔습니다

보너스로 열기랑 광어까지 등장하면서
분위기 제대로 업
우럭은 전부 토실토실해서
잡는 재미, 보는 재미까지 확실했습니다

진짜 웃음 끊이지 않게
재밌게 낚시한 하루였고,
조황은 사진으로 꼭 확인해주셔요

오늘 함께해주신 조사님들
끝까지 고생 많으셨고 감사합니다!
안전하게 귀가하시고,
다음에 또 좋은 날 다시 뵐게요

20일 강남호 문어 출조 합니다 10자리 예약가능

최강피싱 063.463.0800_사진_20251219_2.jpg


최강피싱 063.463.0800_사진_20251219_8.jpg


최강피싱 063.463.0800_사진_20251219_10.jpg


최강피싱 063.463.0800_사진_20251219_12.jpg


최강피싱 063.463-tile.jpg


최강피싱 063.463.0800_사진_20251219_29.jpg
 
최강피싱 063.463.0800_사진_20251219_30.jpg


최강피싱 063.463.0800_사진_20251219_31.jpg


최강피싱 063.463.0800_사진_20251219_32.jpg


최강피싱 063.463.0800_사진_20251219_33.jpg


최강피싱 063.463.0800_사진_20251219_34.jpg


최강피싱 063.463.0800_사진_20251219_35.jpg


최강피싱 063.463.0800_사진_20251219_36.jpg


최강피싱 063.463.0800_사진_20251219_37.jpg


최강피싱 063.463.0800_사진_20251219_38.jpg


최강피싱 063.463.0800_사진_20251219_39.jpg


최강피싱 063.463.0800_사진_20251219_40.jpg


최강피싱 063.463.0800_사진_20251219_41.jpg


최강피싱 063.463.0800_사진_20251219_42.jpg


최강피싱 063.463.0800_사진_20251219_43.jpg
최강피싱 063.463.0800_사진_20251219_46.jpg


최강피싱 063.463.0800_사진_20251219_47.jpg


최강피싱 063.463.0800_사진_20251219_48.jpg


최강피싱 063.463.0800_사진_20251219_49.jpg


최강피싱 063.463.0800_사진_20251219_50.jpg


최강피싱 063.463.0800_사진_20251219_51.jpg


최강피싱 063.463.0800_사진_20251219_52.jpg


최강피싱 063.463.0800_사진_20251219_53.jpg


최강피싱 063.463.0800_사진_20251219_54.jpg


최강피싱 063.463.0800_사진_20251219_55.jpg


최강피싱 063.463.0800_사진_20251219_56.jpg


최강피싱 063.463.0800_사진_20251219_57.jpg


최강피싱 063.463.0800_사진_20251219_58.jpg


최강피싱 063.463.0800_사진_20251219_59.jpg


최강피싱 063.463.0800_사진_20251219_60.jpg


최강피싱 063.463.0800_사진_20251219_61.jpg


 




==== 군산 최강피싱 선단 예약안내 ====


예약문의 : 063-463-0800

오시는길 : 전북 군산시 새만금북로 211

홈페이지 : http://strong.sunsang24.com/


모바일.jpg 



Top