조황관리HOME / 조황관리 / 상세정보

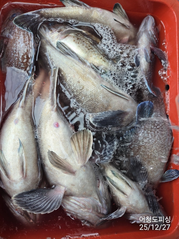
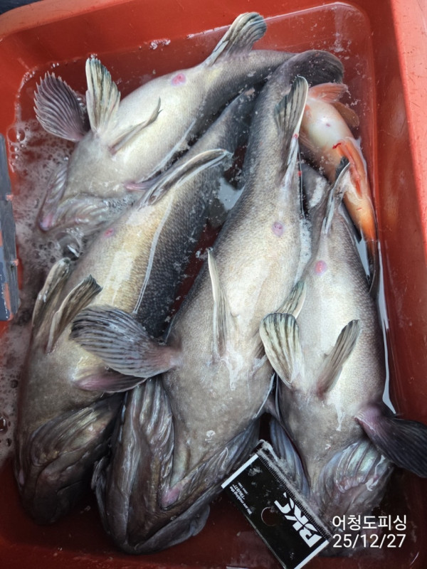
제목 : 12/27 토 . 군산최강피싱 <어청도호> 먼바다 우럭,광어 낚시 마무리조황
등록일 : 2025-12-27



12/27 토 . 군산최강피싱 <어청도호> 먼바다
우럭,광어 낚시 마무리조황

강남호 28일 일요일 우럭 광어 2자리 예약가능

군산 어청도피싱
안녕하세요 !(•̀ᴗ•́)و ̑̑
낚시에 진심인 김선장입니다.
#12월27일 #토요일 #우럭조황

오늘은 예보상으로는 날씨가 괜찮다고 나왔지만
막상 먼 바다에 나와보니
생각과는 조금 달랐던 하루였습니다

파도가 있어 쉽지는 않은 상황이었지만
끝까지 집중해서 낚시해주신 조사님들 덕분에
잡으신 분들은 그래도 손맛 조금 보셨습니다

다만 파도 때문에 전체적으로
고생이 많았던 하루였네요
궂은 여건 속에서도 끝까지 함께해주신
어청도피싱 조사님들 정말 수고 많으셨습니다

오늘 조황 사진도 함께 첨부 하오니
확인해주시구요 !
모두 안전하게 귀가하시고,
다음에 더 좋은 날 다시 뵙겠습니다


최강피싱 063.463.0800_사진_20251227_2.jpg


최강피싱 063.463.0800_사진_20251227_3.jpg


최강피싱 063.463.0800_사진_20251227_4.jpg


최강피싱 063.463.0800_사진_20251227_5.jpg


최강피싱 063.463.0800_사진_20251227_6.jpg


최강피싱 063.463.0800_사진_20251227_7.jpg


최강피싱 063.463.0800_사진_20251227_8.jpg

최강피싱 063.463-tile.jpg


최강피싱 063.463.0800_사진_20251227_19.jpg


최강피싱 063.463.0800_사진_20251227_20 - 복사본.jpg


최강피싱 063.463.0800_사진_20251227_21 - 복사본.jpg


최강피싱 063.463.0800_사진_20251227_22 - 복사본.jpg


최강피싱 063.463.0800_사진_20251227_23 - 복사본.jpg


최강피싱 063.463.0800_사진_20251227_24 - 복사본.jpg


최강피싱 063.463.0800_사진_20251227_25.jpg


최강피싱 063.463.0800_사진_20251227_26.jpg


최강피싱 063.463.0800_사진_20251227_27.jpg


최강피싱 063.463.0800_사진_20251227_28.jpg


최강피싱 063.463.0800_사진_20251227_29.jpg


최강피싱 063.463.0800_사진_20251227_30.jpg


최강피싱 063.463.0800_사진_20251227_31.jpg


최강피싱 063.463.0800_사진_20251227_32.jpg


최강피싱 063.463.0800_사진_20251227_33.jpg


 전화문의: 063-463-0800
010-7168-0800
홈페이지 : http://strong.sunsang24.com




==== 군산 최강피싱 선단 예약안내 ====


예약문의 : 063-463-0800

오시는길 : 전북 군산시 새만금북로 211

홈페이지 : http://strong.sunsang24.com/


모바일.jpg 



Top