조황관리HOME / 조황관리 / 상세정보

제목 : 2/14일 . 군산최강피싱 <어청도호> 먼바다우럭 놀래미 마무리조황
등록일 : 2026-02-15



2/14일 . 군산최강피싱 <어청도호> 먼바다우럭 놀래미 마무리조황

군산 어청도피싱
안녕하세요 !(•̀ᴗ•́)و ̑̑
낚시에 진심인 김선장입니다.
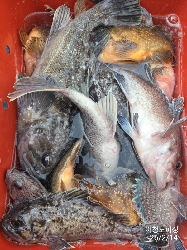
#2월14일 #토요일 #우럭조황

어제 먼바다 다녀왔습니다
영등철이라 마릿수 폭발은 아니었지만
우럭은 드실 만큼은 잡으셨어요

조과 차이는 있었지만
끝까지 집중해주신 조사님들 덕에
그래도 빈손 없이 마무리했습니다

요즘은 영등철 영향이 있어서
많이 나온다 말씀드리긴 어렵지만
날씨만 좋으면 2월에도 계속 나가봅니다
기상만 허락해주면 출조합니다

그리고 3월은 한 달 쉬어가고요,
4월에는 이벤트와 함께 다시 인사드리겠습니다
더 좋은 시즌, 더 재밌는 출조로 돌아올게요

다가오는 설 명절
모두 안전 운전하시고
가족들과 따뜻한 시간 보내세요

새해 복 많이 받으시고
올해도 어청도피싱과 함께
즐거운 바다 낚시 이어가요

강남호 2026년도 출조 일정을 공고 합니다

예약은 강남호 홈페이지에서 하시면 됩니다

예약후 입금 하셔야 예약 되오니 착오 없기를 바랍니다

먼저 입금 하신분이 예약이 됩니다
아래에 월별 출조 어종이 있습니다
조황 상황에 따라서 어종이 변경 될수 있습니다

2월15일 일요일 오전 9시에 강남호 홈페이지 오픈 하겠습니다
☆ 3월 출조 현황
ㅡ 우럭 출조
ㅡ 봄 쭈꾸미 출조
☆ 4월 출조 현황
ㅡ 봄 쭈꾸미 출조
ㅡ 농어 생미끼 외수질 낚시 출조
☆ 5월 6월 출조 현황
ㅡ 갑오징어 출조
ㅡ 농어 생미끼 외수질 낚시 출조
☆ 7월 8월 출조 현황
ㅡ 야간 문어 출조
☆ 9월 출조 현황
ㅡ 쭈꾸미 출조
ㅡ 주간 문어 출조
☆ 10월 11월 출조 현황
ㅡ 주간 문어 낚시 출조
ㅡ 갑오징어 낚시 출조
☆ 12월 출조 현황
ㅡ 문어 낚시 출조
ㅡ 우럭 낚시 출조
연락 주시면
어종 선택 하시면 어종이 변경 될수도 있으니 참고

강남호 선장 : 010-3684-5249

최강피싱 전화문의
063-463-0800
010-7168-0800
홈페이지 : http://strong.sunsang24.com

최강피싱 063.463.0800_사진_20260215_1.jpg


최강피싱 063.463.0800_사진_20260215_2.jpg


최강피싱 063.463.0800_사진_20260215_3.jpg


최강피싱 063.463.0800_사진_20260215_4.jpg


최강피싱 063.463.0800_사진_20260215_5.jpg


최강피싱 063.463.0800_사진_20260215_6.jpg


최강피싱 063.463-tile.jpg



최강피싱 063.463.0800_사진_20260215_19.jpg


최강피싱 063.463.0800_사진_20260215_20.jpg


최강피싱 063.463.0800_사진_20260215_21.jpg


최강피싱 063.463.0800_사진_20260215_22.jpg


최강피싱 063.463.0800_사진_20260215_23.jpg

 
Top