조황관리HOME / 조황관리 / 상세정보

제목 : 4/1일 군산최강피싱 <#어청도호> 먼바다 마무리조황
등록일 : 2026-04-02



군산 최강피싱
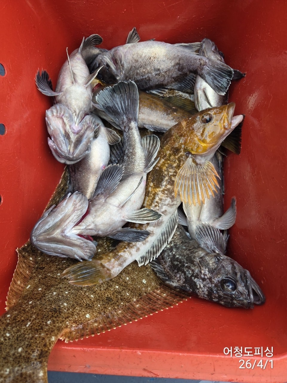
4/1일 군산최강피싱 <#어청도호> 먼바다 마무리조황

긴 휴가를 마치고 오랜만에 출조 다녀왔습니다 !
아직은 수온이 차가운 상태라
고기 활성도가 좋은 편은 아니었지만

이번 조금 물때부터는
점점 좋아질 것으로 기대하고 있습니다

찾아주신 조사님들께 진심으로 감사드리며
현재 진행 중인 이벤트에서
순위 안에 드신 조사님들 축하드립니다

다음 출조가 더욱 기대되는 하루였습니다
끝까지 함께해주셔서 감사합니다!
모두 고생 많으셨습니다 :)

4월 고객 감사 이벤트

1등 : 황금 반돈
2등 : 바낙스 커맨더 문어대 C602MHS 또는 동급
3등 : 바낙스 타코마스터 C170 또는 동급
4등 : 소형 아이스박스 또는 합사 3호 1000m

••우럭 최대어 순위로 시상
••18인 이하 출조 시에는 2등 상품부터 시상됩니다

☆어청도호 일정출조
4월03일 금요일 우럭,광어출조: 자리여유
4월04일 토요일우럭,광어출조 : 1자리
4월05일 일요일 우럭,광어출조 : 13자리
4월06일 월요일우럭,광어출조 : 자리여유
4월07일 화요일 우럭,광어출조 : 자리여유
4월08일 수요일우럭,광어출조 : 자리여유

????주말 봄알쭈꾸미 ~~ 출조
☆강남호 출조
4월4일 토 봄알쭈꾸미 출조 :15자리
4월5일 일 봄알쭈꾸미 출조 :11자리

☆시그니처호 출조
4월4일 토 우럭낚시 출조 :11자리
4월5일 일 봄알쭈꾸미 출조 :16자리
선비7만원
출항 06시~입항14시
컵라면 ,커피,음료제공 점심x 
  • 사용자가 올린 이미지
  • 사용자가 올린 이미지
  • 사용자가 올린 이미지
  • 사용자가 올린 이미지
  • 사용자가 올린 이미지
  • 사용자가 올린 이미지
  • 사용자가 올린 이미지
  • 사용자가 올린 이미지
  • 사용자가 올린 이미지
  • 사용자가 올린 이미지
  • 사용자가 올린 이미지
  • 사용자가 올린 이미지
  • 사용자가 올린 이미지
  • 사용자가 올린 이미지
  • 사용자가 올린 이미지
  • 사용자가 올린 이미지
  • 사용자가 올린 이미지



==== 군산 최강피싱 선단 예약안내 ====


예약문의 : 063-463-0800

오시는길 : 전북 군산시 새만금북로 211

홈페이지 : http://strong.sunsang24.com/


모바일.jpg 



Top