조황관리HOME / 조황관리 / 상세정보

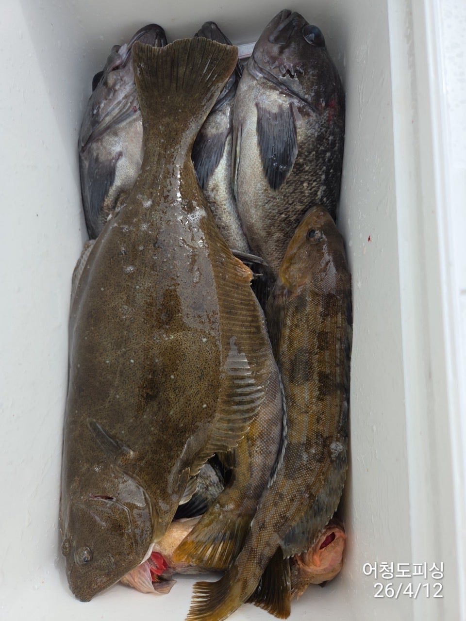
제목 : 4/12일 . 군산최강피싱 <어청도호> 먼바다 우럭,광어낚시 마무리조황
등록일 : 2026-04-12



4/12일 . 군산최강피싱 <어청도호> 먼바다 우럭,광어낚시 마무리조황

안녕하세요 !(•̀ᴗ•́)و ̑̑
낚시에 진심인 김선장입니다.
#4월12일 #일요일 #우럭조황

시즌 초라
아직은 조황이 완전히 살아난 상황은 아니지만
해무까지 끼면서 쉽지 않은 하루였습니다 ☺️

변덕스러운 바다 날씨 속에서도
끝까지 열심히 해주신 조사님들 덕분에
그래도 소중한 조황 사진 남길 수 있었네요

오랜만에 뵙는 조사님들 너무 반가웠습니다 ????!!

그리고 현재 진행 중인 이벤트!
순위 안에 드신 조사님들 진심으로 축하드립니다????

다음 출조에도 함께 해요 ????!


˖ ࣪ ★ 4월 고객 감사 이벤트˖ ࣪ ★

1등 : 황금 반돈
2등 : 바낙스 커맨더 문어대 C602MHS 또는 동급
3등 : 바낙스 타코마스터 C170 또는 동급
4등 : 소형 아이스박스 또는 합사 3호 1000m

••우럭 최대어 순위로 시상
••18인 이하 출조 시에는 2등 상품부터 시상됩니다
  • 사용자가 올린 이미지
  • 사용자가 올린 이미지
  • 사용자가 올린 이미지
  • 사용자가 올린 이미지
  • 사용자가 올린 이미지
  • 사용자가 올린 이미지
  • 사용자가 올린 이미지
  • 사용자가 올린 이미지
  • 사용자가 올린 이미지
  • 사용자가 올린 이미지
  • 사용자가 올린 이미지
  • 사용자가 올린 이미지
  • 사용자가 올린 이미지
  • 사용자가 올린 이미지
  • 사용자가 올린 이미지
  • 사용자가 올린 이미지
  • 사용자가 올린 이미지
  • 사용자가 올린 이미지
  • 사용자가 올린 이미지
  • 사용자가 올린 이미지
  • 사용자가 올린 이미지
  • 사용자가 올린 이미지
  • 사용자가 올린 이미지
18일 전국광어 다운샷 대회
시그니처호 예약가능합니다
  • 사용자가 올린 이미지

전화문의: 063-463-0800
010-7168-0800
홈페이지 : http://strong.sunsang24.com
Top