조황관리HOME / 조황관리 / 상세정보

제목 : 4/14일 군산최강피싱 <#어청도호> 먼바다 우럭&광어 마무리조황
등록일 : 2026-04-14



4/14일 군산최강피싱 <#어청도호> 먼바다 우럭&광어
마무리조황

군산 어청도피싱 ????
안녕하세요 !(•̀ᴗ•́)و ̑̑
낚시에 진심인 김선장입니다.
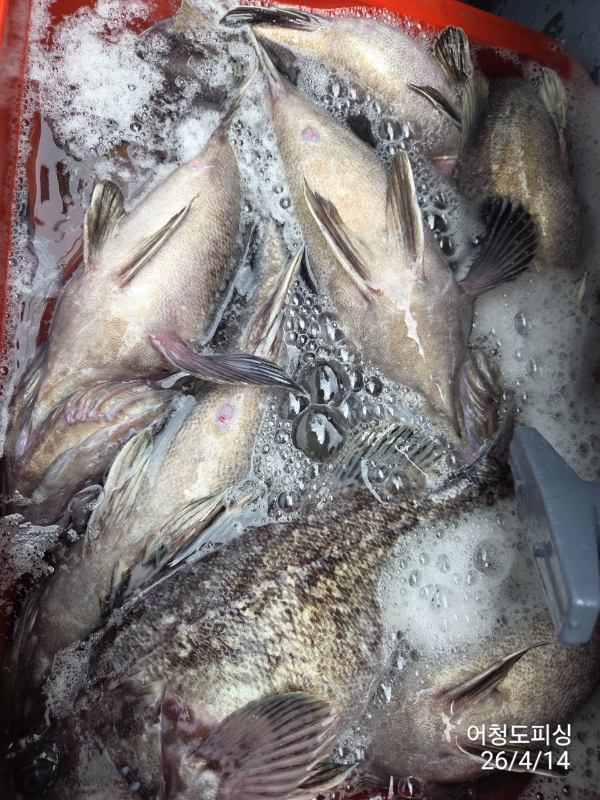
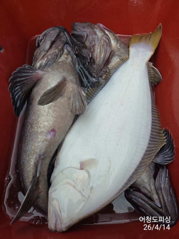
#4월14일 #화요일 #우럭광어조황

오늘은 단체 조사님들 모시고 출조 다녀왔습니다!

날씨도 너무 좋고
처음부터 끝까지 웃으면서
재밌게 놀다 온 하루였습니다 ????

가는 포인트마다 고기가 꾸준히 붙어줘서
손맛 계속 보시면서 분위기 아주 좋았구요!

우럭은 4짜, 5짜급 다수 올라와주고
광어도 5짜, 6짜급으로 시원하게 나와주면서
전체적으로 아주 흐름 좋았습니다 ????????????????????????

손님분들 모두 파이팅 넘치게 해주시고
좋은 에너지 덕분에
드실 만큼 넉넉하게 챙겨가셨습니다!

재밌고 기분 좋게 마무리한 하루
오늘도 수고 많으셨습니다 ! ????

4월 진행중인 이벤트 순위에 드신 조사님들도
축하드립니다 ! !

댁까지 안전히 가시고
좋은 날 또 뵙겠습니다 ????

˖ ࣪ ★ 4월 고객 감사 이벤트˖ ࣪ ★

1등 : 황금 반돈
2등 : 바낙스 커맨더 문어대 C602MHS 또는 동급
3등 : 바낙스 타코마스터 C170 또는 동급
4등 : 소형 아이스박스 또는 합사 3호 1000m

••우럭 최대어 순위로 시상
••18인 이하 출조 시에는 2등 상품부터 시상됩니다

☆어청도호 일정출조

4월15일수요일우럭,광어출조 : 개인사정 출조취소
4월16일목요일우럭,광어출조 : 자리여유
4월17일금요일우럭,광어출조 : 자리여유
4월18일토요일우럭,광어출조 :5자리
4월19일일요일우럭,광어출조 :자리여유


강남호
4월16일 목요일 봄알쭈꾸미 출조 : 자리여유
4월17일 금요일 봄알쭈꾸미 출조 : 자리여유
4월18일 토요일 광어낚시 대회 출조 : 마감
4월19일 일요일 알쭈꾸미 출조 : 자리여유

☆시그니처호 출조
봄알쭈꾸미 출조
선비7만원
출항 06시~입항14시
컵라면 ,커피,음료제공 점심x

최강피싱 063.463.0800_사진_20260414_3.jpg


최강피싱 063.463.0800_사진_20260414_4.jpg


최강피싱 063.463.0800_사진_20260414_5.jpg


최강피싱 063.463.0800_사진_20260414_6.jpg


최강피싱 063.463.0800_사진_20260414_7.jpg


최강피싱 063.463.0800_사진_20260414_8.jpg


최강피싱 063.463.0800_사진_20260414_9.jpg


최강피싱 063.463.0800_사진_20260414_10.jpg


최강피싱 063.463.0800_사진_20260414_11.jpg


최강피싱 063.463.0800_사진_20260414_12.jpg


최강피싱 063.463.0800_사진_20260414_13.jpg


최강피싱 063.463.0800_사진_20260414_14.jpg


최강피싱 063.463.0800_사진_20260414_15.jpg


최강피싱 063.463.0800_사진_20260414_16.jpg


최강피싱 063.463.0800_사진_20260414_17.jpg


최강피싱 063.463.0800_사진_20260414_18.jpg


최강피싱 063.463.0800_사진_20260414_19.jpg


최강피싱 063.463.0800_사진_20260414_20.jpg


최강피싱 063.463.0800_사진_20260414_21.jpg


최강피싱 063.463.0800_사진_20260414_22.jpg


최강피싱 063.463.0800_사진_20260414_23.jpg


최강피싱 063.463.0800_사진_20260414_24.jpg


최강피싱 063.463.0800_사진_20260414_25.jpg


최강피싱 063.463.0800_사진_20260414_26.jpg


최강피싱 063.463.0800_사진_20260414_27.jpg


최강피싱 063.463.0800_사진_20260414_28.jpg


최강피싱 063.463.0800_사진_20260414_29.jpg


최강피싱 063.463.0800_사진_20260414_30.jpg


최강피싱 063.463.0800_사진_20260414_31.jpg


최강피싱 063.463.0800_사진_20260414_32.jpg


최강피싱 063.463.0800_사진_20260414_33.jpg


최강피싱 063.463.0800_사진_20260414_34.jpg


최강피싱 063.463.0800_사진_20260414_35.jpg


최강피싱 063.463.0800_사진_20260414_36.jpg


최강피싱 063.463.0800_사진_20260414_37.jpg


최강피싱 063.463.0800_사진_20260414_38.jpg


최강피싱 063.463.0800_사진_20260414_39.jpg




 



==== 군산 최강피싱 선단 예약안내 ====


예약문의 : 063-463-0800

오시는길 : 전북 군산시 새만금북로 211

홈페이지 : http://strong.sunsang24.com/


모바일.jpg 



Top